
© Reuters
Panorama: Da wütet „Yasi“
Einer der heftigsten je registrierten Zyklone trifft auf Australiens Küste – Experten vergleichen ihn mit Hurrikan „Katrina“
Stand:
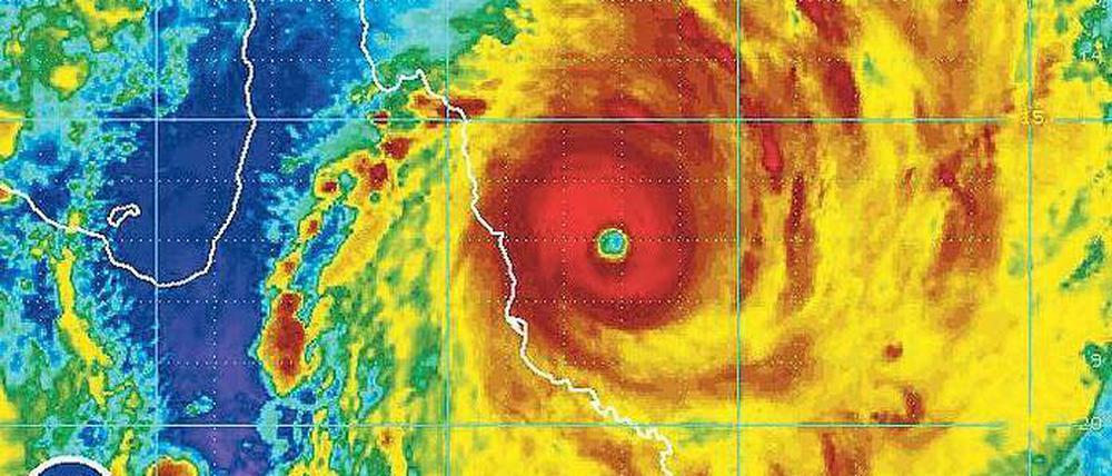
Um Mitternacht hatte das Heulen des Sturms die Lautstärke eines in der Nähe vorbei rasenden Güterzuges angenommen. Uralte, solide Bäume wurden entwurzelt, Strommasten knickten um, Bruchstücke von Häusern flogen durch die Luft. Zyklon „Yasi“ ist am Mittwoch mit monumentaler Gewalt über Australiens Nordostküste hinweggerast. Experten verglichen seine Kraft mit dem Hurrikan „Katrina“, der 2005 den Südosten der USA heimsuchte. Nach stundenlangen schwersten Böen wurde der größte tropische Wirbelsturm seit Generationen erst am frühen Donnerstagmorgen von der höchsten Kategorie fünf auf vier zurückgestuft.
Zu diesem Zeitpunkt hatte er bereits ein Schneise der Zerstörung geschlagen, hunderttausende in Angst und Schrecken versetzt und um den Schlaf gebracht. Vor allem Tully, das sich wegen eines durchschnittlichen Niederschlages pro Jahr von rund 4000 Millimetern selbst die „nasseste Stadt Australiens“ nennt, brachte „Yasi“ eine Horrornacht. Im örtlichen Pub erlebten 60 Rucksackreisende die Urgewalt des Zyklons. In dem Ort 140 Kilometer südlich von Cairns werden nur wenige der rund 3500 Einwohner unbeschädigte Häuser haben. Von „umfassender Zerstörung“ berichtete Stadtratsmitglied Ross Sorbello.
Schon am Nachmittag hatte sich die Lage zugespitzt, als die Behörden und zuständigen Politiker verzweifelt an die Bevölkerung appellierten, sich in Sicherheit zu bringen. „Denkt gar nicht erst dran, eure Taschen zu packen, fasst euch bei den Händen und begebt euch an einen sicheren Platz.“ So lautete die Aufforderung der krisenerprobten Ministerpräsidentin des Bundesstaates Queensland, Anna Bligh. Am Nachmittag gab die Politikerin, die wochenlang mit der Flutkatastrophe im Süden ihres Landes beschäftigt war, eine neue, noch dramatischere Parole aus: „Zu spät zum Evakuieren, bleiben Sie, wo Sie sind!“
Zu diesem Zeitpunkt befanden sich bereits rund 11 000 Menschen in den 20 Evakuierungszentren, die von der Regierung eingerichtet worden waren. Zehntausende hatten darüber hinaus Zuflucht bei Verwandten und Freunden sowie in Hotels gesucht. In diesem Teil Queenslands halten sich zu jeder Jahreszeit auch zehntausende Touristen auf, die unter anderem das Great Barrier Reef besuchen, eine der größten Touristenattraktionen Australiens. Allein in Cairns im Norden und im 340 Kilometer südlich gelegenen Townsville leben rund 300 000 Menschen, auch der Landstrich dazwischen ist relativ dicht besiedelt. Neben Tourismus bestimmt vor allem die Landwirtschaft das Leben, es wird Zuckerrohr angebaut, die meisten australischen Bananen kommen aus dieser Gegend.
All dies aber kam in den vergangenen zwei Tagen zum Erliegen, als sich die Bewohner auf den gewaltigen Sturm vorbereiteten, der alles bisher Dagewesene übertroffen sollte: Windgeschwindigkeiten bis zu 300 Stundenkilometer, ein Umfang von mehreren hundert Kilometern – allein das Auge des Sturms war mehr als 50 Kilometer breit.
Alexander Hofmann
- showPaywall:
- false
- isSubscriber:
- false
- isPaid: