
© dpa/-
Erste Bilanz zu Hurrikan „Melissa“: 500.000 Menschen ohne Strom, umherwandernde Krokodile, eine überschwemmte Provinz
„Melissa“, einer der stärksten Hurrikane in der Geschichte der Karibik, hat Jamaika getroffen. Premier Holness will die Schäden schnell beheben – nun erreicht der Sturm Kuba.
Stand:
Schlamm, Trümmer, Stromleitungen auf der Straße: In einem Video der jamaikanischen Polizei patrouillieren Einsatzkräfte durch Black River, den Ort, an dem Hurrikan Melissa am Dienstag mit voller Wucht auf Land traf. Die Behörden sprechen von einer „schwer beeinträchtigten Infrastruktur“.
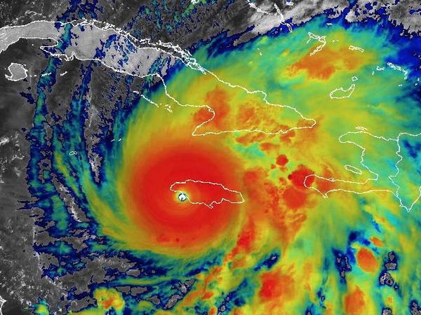
Mit Windgeschwindigkeiten von bis zu 295 Kilometern pro Stunde hat Hurrikan Melissa eine Schneise der Verwüstung durch Jamaika gezogen. Der Sturm, einer der stärksten in der Geschichte der Karibik, traf zur Mittagszeit nahe New Hope im Südwesten der Insel auf Land und blieb stundenlang über Jamaika hängen.
Erst am Nachmittag begann sich das Auge langsam nordwärts zu bewegen – abgeschwächt auf Kategorie 4, später 3, aber weiterhin zerstörerisch. Meteorologen befürchten, dass er über dem warmen Wasser der Karibik wieder an Stärke gewinnen könnte, bevor Melissa Prognosen zufolge Mittwochmorgen Kuba erreichen und anschließend über die Bahamas ziehen sollte.
Bisher sind keine direkten Todesopfer bekannt. Drei Menschen waren in Jamaica bei den Vorbereitungen auf den Sturm gestorben.
Premierminister Andrew Holness sprach von verheerenden Auswirkungen, wo immer das Auge des Sturms auf die Insel traf. „Die Berichte, die wir bislang erhalten haben, umfassen Schäden an Krankenhäusern, erhebliche Schäden an Wohnhäusern und gewerblichen Gebäuden“, sagte Holness dem Sender CNN. Der Hauptkorridor der Zerstörung habe im Südwesten Jamaikas gelegen – in den Parishes St. Elizabeth, Manchester und Westmoreland.
St. Elizabeth steht komplett unter Wasser
Holness betonte zugleich, Jamaika habe „eine sehr glaubwürdige und starke Strategie zur Vorbereitung und zum Wiederaufbau“ entwickelt. Im Osten könne die Wiederherstellung von Strom- und Telefonverbindungen bereits am Mittwoch beginnen, im Süden werde sie „noch einige Tage“ dauern.

© IMAGO/ZUMA Press Wire/NOAA
Das genaue Ausmaß der Schäden ist noch unklar. Was bisher bekannt ist:
- Stromleitungen und Kommunikationsnetze sind weitgehend zerstört, viele Regionen abgeschnitten.
- Nach Regierungsangaben sind rund 500.000 Menschen – etwa ein Sechstel der Bevölkerung – ohne Strom, 15.000 befinden sich in Notunterkünften.
- Im Landkreis St. Elizabeth, einem der größten Jamaikas, steht laut Behörden „alles unter Wasser“. Das Krankenhaus musste evakuiert werden.
- Die Streitkräfte riefen neben den regulären Soldaten auch Reservisten zum Dienst ein, um bei Rettungsarbeiten zu helfen, wie die Zeitung „The Gleaner“ berichtete.
- Die Vereinten Nationen koordinieren den Transport von Hilfsgütern über See von Barbados aus, da die Flughäfen zunächst geschlossen bleiben.
Die Schäden nach dem Sturm zeigt ein Video der jamaikanischen Polizei:
Empfohlener redaktioneller Inhalt
An dieser Stelle finden Sie einen von unseren Redakteuren ausgewählten, externen Inhalt, der den Artikel für Sie mit zusätzlichen Informationen anreichert. Sie können sich hier den externen Inhalt mit einem Klick anzeigen lassen oder wieder ausblenden.
Ich bin damit einverstanden, dass mir der externe Inhalt angezeigt wird. Damit können personenbezogene Daten an Drittplattformen übermittelt werden. Mehr Informationen dazu erhalten Sie in den Datenschutz-Einstellungen. Diese finden Sie ganz unten auf unserer Seite im Footer, sodass Sie Ihre Einstellungen jederzeit verwalten oder widerrufen können.
Holness erklärte das Land zum Katastrophengebiet und verlängerte ein Handelsmoratorium, um Preistreiberei nach der Katastrophe zu verhindern.
Wegen des Hurrikans haben die Behörden die Bewohner neben Sturm und Überschwemmungen vor einer weiteren Gefahr gewarnt – umherwandernden Krokodilen. Steigende Pegelstände in Flüssen und Sümpfen könnten dazu führen, dass Krokodile in Wohngegenden vordringen, erklärte die regionale Gesundheitsbehörde Serha am Dienstag im Onlinedienst Instagram.
Empfohlener redaktioneller Inhalt
An dieser Stelle finden Sie einen von unseren Redakteuren ausgewählten, externen Inhalt, der den Artikel für Sie mit zusätzlichen Informationen anreichert. Sie können sich hier den externen Inhalt mit einem Klick anzeigen lassen oder wieder ausblenden.
Ich bin damit einverstanden, dass mir der externe Inhalt angezeigt wird. Damit können personenbezogene Daten an Drittplattformen übermittelt werden. Mehr Informationen dazu erhalten Sie in den Datenschutz-Einstellungen. Diese finden Sie ganz unten auf unserer Seite im Footer, sodass Sie Ihre Einstellungen jederzeit verwalten oder widerrufen können.
Eine neue Art Sturm in der Karibik
Melissa steht für ein neues Muster in der Karibik: weniger, aber intensivere Hurrikane. Nach Angaben der Weltmeteorologischen Organisation (WMO) haben sich die Windgeschwindigkeiten tropischer Wirbelstürme in den letzten Jahrzehnten erhöht, während ihre Zuggeschwindigkeit abgenommen hat. Dadurch verweilen sie länger über warmem Wasser – und richten mehr Schaden an.
Die Karibik verzeichnet derzeit rekordwarme Meerestemperaturen, teils 1,4 Grad über dem langjährigen Mittel. Diese Hitze wirkt wie Treibstoff: Sie verstärkt Stürme, lässt sie langsamer ziehen und feuchter werden. Melissa ist ein direktes Ergebnis dieser Entwicklung – ein Blick in die Zukunft einer sich aufheizenden Region.
Die komplette Wiederherstellung der Infrastruktur wird dauern

© dpa/MATIAS DELACROIX
Schon nach früheren Stürmen musste Jamaika Kredite aufnehmen, um den Wiederaufbau zu finanzieren. Hilfsorganisationen warnen, dass häufigere Extremereignisse kleine Inselstaaten in eine Spirale aus Schulden, Wiederaufbau und erneuter Zerstörung treiben.
Ob Jamaikas Katastrophenschutz funktioniert, wird sich in den kommenden Tagen zeigen. Viele Kliniken und Energieversorger waren schon vor dem Sturm überlastet. Die komplette Wiederherstellung der Versorgung nach dem Sturm dürfte dauern.
„Asymetrische Katastrophe“ im Klimawandel
Gleichzeitig steht Jamaika exemplarisch für eine globale Ungerechtigkeit: Die Insel trägt kaum zum Klimawandel bei, spürt aber seine Folgen am stärksten. Forschende sprechen von einer „asymmetrischen Katastrophe“ – während Industrienationen über CO₂-Ziele diskutieren, verlieren Inselstaaten jedes Jahr ein Stück Zukunft.
Für die Karibik bedeutet das: längere, feuchtere, zerstörerischere Stürme könnten zur Normalität werden. Wie schnell Jamaika Hilfe erhält – und wie konsequent die Welt auf solche Warnungen reagiert – wird zeigen, ob diese Region künftig widerstehen kann; oder immer stärker verwüstet wird.
- showPaywall:
- false
- isSubscriber:
- false
- isPaid: