
© Lufthansa
Erinnerung an den Sommer 1989: Lufthansa fliegt ersten deutsch-deutschen Linienflug nach
Drei Monate vor dem Mauerfall kam es zum ersten regulären Linienflug zwischen der Bundesrepublik und der DDR. Flug LH6010 von Frankfurt nach Leipzig musste einen riesigen Umweg fliegen. Eine Geschichte über das komplizierte Zusammenwachen des deutschen Luftraumes
Stand:
Odilia und Martin Rothe haben ein kleines Stück Luftfahrtgeschichte geschrieben. Die Senioren aus Würselen bei Aachen waren die Ersten, die vor 25 Jahren Tickets für den ersten regulären deutsch-deutschen Linienflug gekauft haben. Sie wollten Verwandte in Weißenfels, Bezirk Halle, besuchen. So erhielten sie Plätze in Reihe 1 der Lufthansa-Boeing 737-300 „Reutlingen“, einen Strauß Blumen und Blitzlichtgewitter – wegen der 50 Reporter an Bord von LH 6010 von Frankfurt nach Leipzig.
Am heutigen Sonntag möchte die Lufthansa mit Sonderflug LH1989 an diesen historischen Tag vor genau 25 Jahren erinnern – und damit vielleicht auch ein wenig von Sorgen ablenken, die den Konzern derzeit plagen. Es war ja zweifellos eine organisatorische Meisterleitung damals: Der Mauerfall lag in der Luft, allerdings waren es noch drei Monate bis zum November 1989, in dem sie wirklich fiel.

© dpa
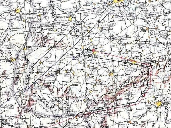
Begonnen hatte die deutsch-deutsche Annäherung am Himmel bereits 17 Jahre früher. Und die eigentliche „Zonengrenze“ konnte in der Luft erst im Januar 1990 überquert werden. Denn auch in der Luft gab es eine unsichtbare, aber auf den Karten der Piloten eingezeichnete „Mauer“. Auf westlicher Seite verlief zudem entlang der deutsch-deutschen Grenze von der Ostsee bis zu den Alpen die bis zu 50 Kilometer breite Air Defence Identification Zone (ADIZ). In sie durfte nur mit Sondergenehmigung eingeflogen werden, beispielsweise um einen darin gelegenen, grenznahen Flughafen wie Lübeck oder Hof anzusteuern. Wer weiter nach Osten flog, riskierte, von russischen Kampfflugzeugen abgeschossen zu werden. In umgekehrter Richtung harrten Bundeswehr und Westmächte zur Zeit des Kalten Krieges möglicher Angreifer.
Einzige Durchlässe waren die drei jeweils 32 Kilometer breiten Luftkorridore, die aus Richtung Hamburg, Hannover und Frankfurt am Main zur unter Vier-Mächte-Hoheit stehenden Berliner Kontrollzone führten. Sie dienten der Anbindung West-Berlins und durften in einer Höhe von maximal 10 000 Fuß (3048 Meter) ausschließlich von Flugzeugen benutzt werden, die in Frankreich, Großbritannien oder den USA registriert waren.
Doch bereits 1972 – elf Jahre nach dem Mauerbau – hatten sich die deutsch-deutschen Wirtschaftsbeziehungen so entwickelt, dass ein verstärktes Interesse westdeutscher Geschäftsleute am Besuch der Leipziger Messe bestand. Daraufhin charterten Reisebüros eine Boeing 727 der Condor und eine BAC 1/11 der Bavaria, die tatsächlich die erforderlichen Genehmigungen zum Flug nach Leipzig erhielt. Am 3. September 1972 landeten so die ersten bundesdeutschen Verkehrsflugzeuge in der DDR. Die aus Frankfurt und München kommenden Maschinen mussten den Umweg über die damalige Tschechoslowakei nehmen, um auf die einzige, in Nord-Süd-Richtung verlaufende Luftstraße der DDR zu gelangen. Im Gegenzug durfte sich auch die Interflug am deutsch-deutschen Messeflugverkehr beteiligen und absolvierte 1973 den ersten Flug zwischen Leipzig und Stuttgart.

© Lufthansa
Elf Jahre später gaben der damalige Lufthansa-Chef Heinz Ruhnau und sein Interflug-Kollege Klaus Henkes bei einem Treffen in Ost-Berlin dem Messeflugverkehr einen festen Rahmen. Am 30. August 1984 startete in Frankfurt eine Boeing 737 zum ersten der nunmehr als „Bedarfsverkehr zu festen Flugzeiten“ deklarierten Flüge nach Leipzig. Die Interflug flog im Gegenzug nach Düsseldorf, Hamburg und Stuttgart. Schon damals hatten Ruhnau und Henkes weitergedacht und wollten die Flüge auch außerhalb der Messezeiten als Liniendienste anbieten. Das scheiterte am Veto der Amerikaner, die um die Souveränität des Korridorsystems fürchteten.
Lufthansa wollte nach Berlin, verlor dann aber dann das Interesse an der Stadt
Sechs Jahre danach konnten sich die Alliierten den Plänen nicht mehr verschließen. Am 10. August 1989 kam es also zum ersten Linienflug von Frankfurt nach Leipzig. Auch dieses Mal mussten die Piloten die Strecke über die Tschechoslowakei wählen, die mit rund 700 Kilometern mehr als doppelt so lang war wie eine Direktroute. Erst unweit von Prag bog die Maschine nach Norden in Richtung Dresden ab, um dann bereits über DDR-Gebiet nach Leipzig zu kurven. 80 Minuten dauerte der Flug. Einen Tag später absolvierte eine Tupolew Tu-134 der Interflug den ersten Liniendienst von Leipzig nach Düsseldorf.

© Lufthansa
Das erste „Loch in der Mauer am Himmel“, von dem die Lufthansa in diesem Zusammenhang spricht, entstand tatsächlich erst am 31. Januar 1990. Wieder war es die „Reutlingen“, die eine Delegation von Politikern und Geschäftsleuten aus München zu einem Arbeitsbesuch nach Dresden brachte. Max Streibl, seinerzeit bayerischer Ministerpräsident, intervenierte bei seinem CSU-Parteifreund Friedrich Zimmermann im Verkehrsministerium, und kurzfristig gaben auch die Alliierten den Direktflug durch die ADIZ frei für den ersten regulären Flug über die Grenze. Am 9. März wurde dann die Luftstraße zwischen Erlangen und Leipzig offiziell eingerichtet.
Am 5. August 1990 hatte Heinz Ruhnau dann auch sein Ziel erreicht, die Lufthansa erstmals nach dem Ende des Zweiten Weltkrieges wieder in Berlin landen zu lassen. Eine Boeing 747-400 traf in Schönefeld ein, um Kinder aus Tschernobyl nach einem DDR-Urlaub zurück in die Heimat zu fliegen. Bereits am Vortag der Vereinigungsfeier, dem 2. Oktober, landete dann ein Jet mit Bundestagsabgeordneten in Tegel. Mit dem Beginn des Winterflugplans am 28. August bot die Lufthansa bis zu 140 tägliche Berlin-Flüge.

© Lufthansa
1991 verließ Ruhnau das Unternehmen und wurde Mitglied des Aufsichtsrates der Berlin-Brandenburger Flughafen-Holding. Dort setzte er sich vergeblich für Sperenberg als Standort des neuen Flughafens BER ein und wechselte 1996 frustriert an die Spitze des Aufsichtsrates der Mitteldeutschen Flughafen AG, deren Plätze in Leipzig und Dresden wesentlich schneller vorankamen.
Bei der Lufthansa ebbte die Euphorie für Berlin und die neuen Bundesländer bald wieder ab. Die Langstreckenflüge nach New York und später nach Washington hatten nur kurzen Bestand, als Platzhirsch wurde die Gesellschaft in Tegel alsbald von Air Berlin abgelöst. 2011 startete man zwar noch das Projekt „Zukunft Berlin“ und kündigte 30 zusätzliche Strecken für den neuen Airport an. Doch bald nachdem die BER-Eröffnung am 2. Juni 2012 unerwartet geplatzt war, war auch davon keine Rede mehr.
Inzwischen fliegt die Lufthansa von Berlin nur noch zu ihren Umsteige-Drehkreuzen in Frankfurt, München und Düsseldorf sowie nach Moskau und Paris. Alle anderen Verbindungen wurden eingestellt oder an den konzerneigenen Billigflieger Germanwings abgegeben. Auch in Dresden und Leipzig ist die Lufthansa selbst im Rahmen ihrer Neuausrichtung nur noch mit Flügen nach Frankfurt und München präsent. Nun ist der Osten also auch im Luftverkehr voll und ganz in der Marktwirtschaft angekommen.
- showPaywall:
- false
- isSubscriber:
- false
- isPaid: